KUALA LUMPUR, Dec 3 — An upcoming condominium project on a playground land in Taman Desa shows the Kuala Lumpur City Hall (DBKL) had forgotten its “promise” to buyers of the existing Armada Villa residence that the land would be a “public park”, residents claim.
Protect Taman Desa, a coalition protesting overdevelopment in the suburban neighbourhood, noted that the Armada Villa landed residential area which was a joint venture development between DBKL and Faber Union had been advertised to have an adjacent “public park”.
“Upon further scrutiny of Marketing Brochures produced for Armada Villa, the park which has now been hoarded up and sold by DBKL to Skyvogue, was indeed included in the Brochure as a material representation of its existence to complement the Armada Villa Project.
“DBKL’s sale of the plot of land designated for Public Library and Park to a private developer for development is a clear misrepresentation to the purchasers of Armada Villa properties as DBKL is a party to the development of Armada Villa,” the Protect Taman Desa group claimed in a statement to Malay Mail.

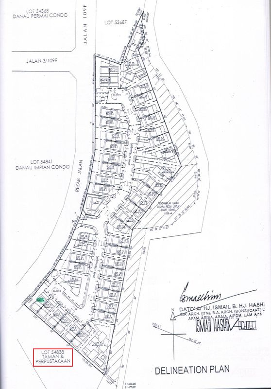
The Protect Taman Desa group cited the Armada Villa brochure which advertised a “public park” adjacent to the low-rise residential area, as well as the site plan and delineation plan of Armada Villa both dated April 2, 2013 which showed the adjacent land with the land title Lot 54838 listed as “Taman dan Perpustakaan” (Park and Library).
The residents also showed an October 16, 2017 land title search which showed the Lot 54838 land came with the condition that it is to be used only for a “library and park”.
M. Gunasekar, an Armada Villa resident who is also media coordinator for Protect Taman Desa, confirmed that the site plan and delineation plan were part of the Sales and Purchase Agreement (SPA) for Armada Villa houses.
“As the Site Plan and Delineation Plan is part of the SPA, therefore it is a legal binding and part of the agreement,” he told Malay Mail.
The Protect Taman Desa group said: “It appears that DBKL has forgotten its promise made in the brochures and advertisements during the sale of Armada Villa to the public and purchasers specifically.
“DBKL’s action of disposing the Plot of land earmarked for Public Library and Park seem to be an ad hoc decision without any consideration for the history of Armada Villa Development promise made in the marketing brochures and Taman Danau Desa town planning considerations,” it said.
Protect Taman Desa cited the Housing Development (Control and Licensing) Regulations 1989 as a law which would make advertising and brochures legally binding on housing developers.
Under Section 5(2) of the 1989 regulations, “any misleading statement, false representation or description” in advertisements and brochures by a housing developer is an offence. The penalties under Section 13(1) are a maximum RM5,000 fine, or maximum three-year jail, or both.
Shereen Chew, who owns and stays in one of the 45 units in Armada Villa, further said the move to sell the land for condominium development was against public interest, especially the interest of an existing community.
“Armada Villa owners and residents want the public park back on the basis that it is a necessity as well as the fact that it is unreasonable to build a 52-storey condominium thereon,” she said to Malay Mail.

Armada Villa is situated in the Taman Danau Desa area, which is also considered part of the larger Taman Desa neighbourhood.
Residents of Armada Villa had on November 18 held a press conference to question DBKL on its decision to alienate the adjacent playground land to a developer for the condominium project.
The adjacent project to be built by Skyvogue Development Sdn Bhd is planned to have one block of building which will include 333 units of condominium occupying 35 floors and a nine-storey above-ground carpark, according to information found on the Urban Wellbeing, Housing and Local Government Ministry’s One Stop Center portal.
The upcoming project is one of 13 projects known to and highlighted by Protect Taman Desa, which has been voicing concern over alleged over-development in the mature neighbourhood of around 40 years old.
Malay Mail has contacted the Kuala Lumpur mayor for a response.