KUALA LUMPUR, Nov 21 — Residents at Taman Tun Dr Ismail (TTDI) are questioning how almost half of a public park was quietly taken away to be turned into a private plot of land for nine condominium blocks.
Save Taman Rimba Kiara Group’s co-ordinator Leon Koay disputed the federal government’s insistence that an upcoming high-rise project will not be built on the public park’s land, pointing out the purported private land had always been part of public land.
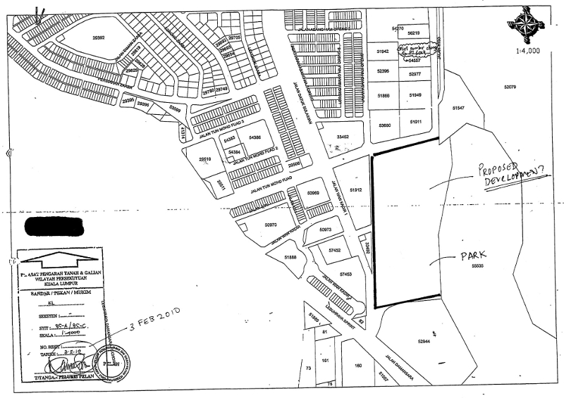
“So this is the point of contention, in 2010 there was no title at all but in 2012, a lot title was created for this whole piece which denotes that they always treated it as one piece.
“And then in 2014 they cut the whole thing in half, where is the public process to do this? This is our contention, this is the issue that we are raising,” he told Malay Mail Online when met recently.

He showed us a land title search dated February 3, 2010 where the entire Taman Rimba Kiara was unmarked, followed by a land title search carried out on June 22, 2012 where the entire park was shown bearing the new plot number 55118.
He also showed a subsequent map where the 55118 plot representing Taman Rimba Kiara is halved with the upper portion of the land now designated for the project site.
The land for the project site now carries the lot number PT9244 under Yayasan Wilayah Persekutuan, with the title issued on August 11, 2014 to Yayasan Wilayah Persekutuan for the purpose of mixed development.

“So here’s our issue, they keep on saying that they are not going to develop Taman Rimba Kiara, but the problem here is the definition of what is Taman Rimba Kiara.
“Their definition today is it is only 13 acres, the lower section of 55118… what is left of 55118, but there was a time when 55118 was 25 acres.
“We can see that from the 2012 search and there was a time before that in 2010 when it was just government land, public land,” he said.

“The surprising and probably disappointing thing here is that the entity that is benefiting from this privatisation of the land is actually a government entity,” he said, referring to the Federal Territories Ministry’s welfare arm Yayasan Wilayah Persekutuan.
“Effectively the government has decided to alienate public land to a quasi-public entity for private use. How did that happen? If you want to use it, use it for public use,” he said.

What’s at stake
Although the part of Taman Rimba Kiara’s land or PT9244 where the project site is located is partially taken up by a carpark, its importance to the plant life and birdlife in the park cannot be underestimated.
Right from the entrance to the park and throughout the carpark area, trees can be seen, including rows of neatly planted mature trees meant to attract birds and which forms the thickest tree canopy in the entire park.
“So the hornbill is seen a lot in that upper section, so if you develop it, I don’t know where the hornbill will go. That’s the problem, we will never get the hornbill back, it will probably just disappear and fly somewhere else. It’s the same for many of the bird species,” Koay said of the PT9244 area.

Based on a tree count by volunteers over three weekends in September, Save Taman Rimba Kiara group said there are a total of 1,854 trees throughout the entire park — including those tagged by Kuala Lumpur City Hall and those untagged. Two hundred and fourteen tree and plant species were identified.
Within the park land now known as PT9244 alone, volunteers counted 795 of both tagged and untagged trees which is believed to include over 50 species.
Out of this 795 figure, the group estimates 35 to 50 trees to be of the vulnerable (Merawan Siput Jantan), endangered (Keladan, Balau Laut) and critically endangered (Kapur) tree species.
Volunteers this year sighted 48 bird species in Taman Rimba Kiara, including 34 totally protected species such as the Oriental Pied Hornbill and three other protected species.

Precious green lung
Taman Rimba Kiara was designated as a “city park” with its shape clearly outlined in the Kuala Lumpur Structure Plan 2020 that was gazetted in 2004, and was shown as “public open space” in the plan’s more detailed version — the Draft KL City Plan 2020.
Noting the limited number of parks in the Klang Valley catering to a huge population of around seven million, Koay said: “Why can’t we have more or why can’t we just protect (Taman Rimba Kiara)? What is so wrong about keeping one park like this?
“There are already 50 over condo blocks in existence within three kilometres but there is only one park like this, why do we need to build another nine blocks, doesn’t makes sense.”

Koay said the root of the issue is the government’s failure to respect both the Structure Plan and the Draft Plan for Kuala Lumpur, despite DBKL and the Federal Territories Ministry having gone through the effort of setting out the plans that have gone through thousands of objections.
“They are not honouring what they have published. This is a published document. The main issue is that this usage of the land has been expressed as such in the Structure Plan and the KL Draft Plan, and the park has been there for many years — 20, 30 years, all the residents are using the park in that way.
“If really they have reduced the size of the park, why didn’t they say so? There is nothing on site to say that this carpark section is not part of Taman Rimba Kiara. There is nothing there.
“After they issued the title… they didn’t say anything,” he said, claiming that this showed the authorities were themselves “scared” to tell and acknowledge what is happening.
“Why was it done so quietly? If really they have every right to take this piece of land, why are they so shy about it? It’s because, from our perspective, this indicates that they acknowledge that this has been done against the principles of the KL Draft Plan and the KL Structure Plan. They know that they have gone back on their word already,” he said.

When highlighted that the Kuala Lumpur mayor had previously said a new city masterplan for development until 2050 would be drawn up instead of gazetting the Draft KL City Plan 2020 which would expire soon and as land value has changed over the years, Koay questioned why the 2020 version launched in May 2008 was not gazetted earlier.
“It’s their fault. They should have gazetted this plan in 2008 or 2009. Why did they drag their feet? How can they now come back and say ‘Oh we have to change the plan’?
“That’s the whole problem, things will change, but that’s why you need to gazette the plan so that people will follow the plan.
“Now they say there’s only three years left. This is just bad governance, bad administration. They go about publishing a plan, you spend RM30 million to create a plan and publish the plan and then now you don’t want to honour your plan,” he said.

Longhouse solution with park intact
While Federal Territories Minister Datuk Seri Tengku Adnan Tengku Mansor had been reported justifying the private developer’s multiple condo blocks as a form of “cross-subsidy” to provide permanent housing for ex-rubber estate workers on the land, Koay said an alternative design that was relatively cheaper could be built on the land that is already currently occupied by the longhouses and without touching Taman Rimba Kiara.
When asked who would provide the funds to solely build the 100 units of townhouses under the alternative design for the 100 families currently living in longhouses, Koay suggested that the government provide funding or find a solution together with TTDI residents.
“The government has so many Projek Perumahan Rakyat (people’s housing projects) nowadays. There’s supposed to be so much funding for affordable housing. So out of all these government programmes, takkan we cannot find RM15 million to build this design for 100 families? Why is that so difficult?
“In today’s context, RM15 million is an achievable number. We believe if the government is serious about finding a solution for the longhouse residents, we can work together to find a way to bear this cost.
“For example, we can probably speak to corporations or charitable organisations to help the cause,” he said.
“We find that you are going to destroy a significant piece of green of 12 acres and we don’t think it is necessary, we don’t think the destruction is necessary to solve the housing problems of the longhouse residents, we think it can be done differently,” he said, referring to the alternative design drawn up for free by architects, engineers and town planners in TTDI.
Those living in the longhouses in a corner of Taman Rimba Kiara were formerly workers of the Bukit Kiara rubber estate that was acquired by the government about 30 years ago and closed down.
Their resettling into the longhouses was meant to be a temporary measure, with the government then promising them permanent housing.
Out of the over 2,000 units in the nine blocks of high-rise buildings planned under the joint venture by Yayasan Wilayah Persekutuan and developer Memang Perkasa, one tower with 350 units is designated for the longhouse residents.

Court battle
In a timeline of events from when TTDI residents first discovered the project last June to its approval in July, the community detailed the absence of communication from DBKL on the project’s status despite repeated written requests for updates — except for letters in April stating that the project was under evaluation.
According to court documents filed in a lawsuit by 10 TTDI residents and condominium management bodies against the KL mayor and DBKL, it was a TTDI resident who in July found out through an online search on the local authorities’ One Stop Centre portal that the KL mayor had on February 28 issued a conditional planning permission for the project.
The TTDI residents claimed that they were again not notified of the KL mayor’s development order issued on July 13 for the project, saying that they only discovered the project approval through a written parliamentary reply on August 10 from Tengku Adnan.
After the lawsuit was filed on August 11, the developer continued to make applications for and receive conditional approval from DBKL for items related to the project such as sanitary, road and drainage plans.
Most recently, TTDI residents found out in court proceedings that DBKL had approved a showroom to be built on the project site itself.
The TTDI residents’ lawsuit seeks a court order to quash both the conditional planning permission and development order for the project, as well as a court order to compel the KL mayor to adopt and gazette the Draft KL City Plan 2020.
The hearing date for the actual lawsuit has yet to be fixed, with the Kuala Lumpur High Court set to hear on December 13 the TTDI residents’ application for an order to freeze any action arising from the conditional planning permission and development order granted until the lawsuit ends.